
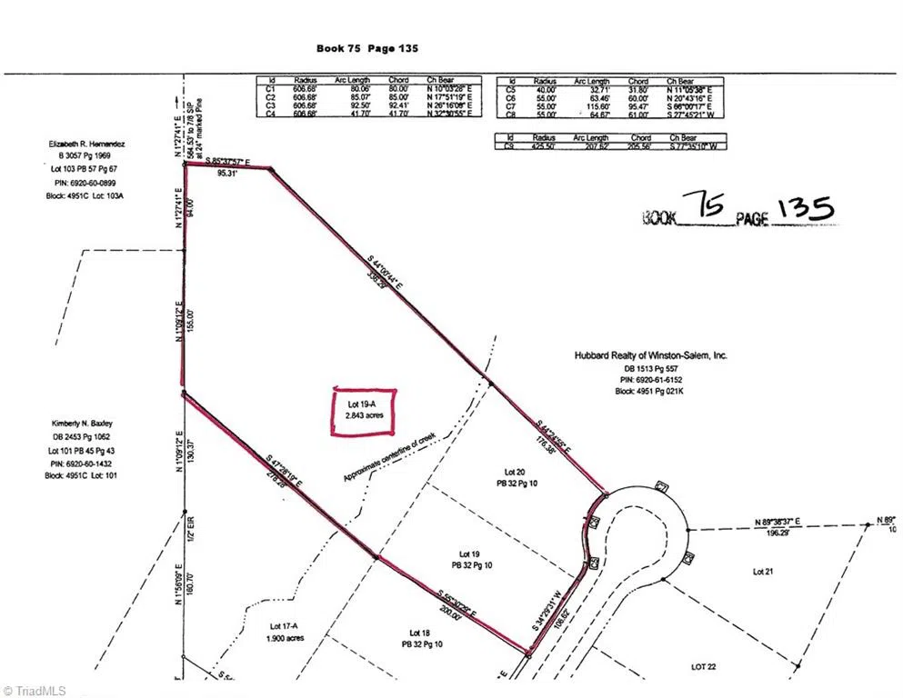
Building lot in Rural Hall in the Ridgecliff community just off Stanleyville Rd. and close to shopping on Hanes Mill Rd. Great opportunity to select your own builder! Deed restrictions attached. See plat map for easements of record. Septic approval required. Legal Lot 19A; Tax Lot 104 (new tax lot established 2023). Owner/Broker (HR# 5959)
Listings identified with the TRIADMLS IDX logo come from TRIADMLS and are held by brokerage firms other than the owner of this website. The listing brokerage is identified in any listing details. Information is deemed reliable but is not guaranteed.
Last Updated: . Source: TRIADMLS
Provided By
Listing Agent: John Mooney (#WMOONEYJO)
Listing Office: Hubbard Realty (#WHUB01)
Get an estimate on monthly payments on this property.
Note: The results shown are estimates only and do not include all factors. Speak with a licensed agent or loan provider for exact details. This tool is sourced from CloseHack.